- GMO不動産査定
- 飲食店ホームページ制作のフードページ
- 買取査定.JP
- 太陽光発電と蓄電池おすすめナビ
- 給湯器の修理交換おすすめナビ
- くらしのベース
- 住まいの図鑑
- 住まいのヒント
- Stay & Life
- CASA NOTE
- 住宅LABO
- 住建メディア
- IETOKI
- 住まい発見隊
- MODERN HOME LIFE
- 住空間ラボ
- 暮らし百貨
- 建築リペア
※順不同・敬称略で掲載しています。
不動産広告の世界では、時々「ホント、それ?」といいたくなるような
トンデモないことが起こります。しかも、笑えません(笑)。
一人ひとりがおバカなことは日常茶飯事なのですが、
時々それが会社スケールにまで拡大するから、笑い事ではすまないのです。
しかも、それがトンデモないことであると、
当人たちはまったく気がついていないところが罪深い。
呆れ果てる、というよりも絶望的な気分になりますね。
まあ、今の私はほとんど足を洗っているので、ほぼ他人事ですが。
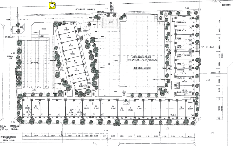
これって、まあそれ自体もヒデー計画でしょ。
いかにも「長谷工プロジェクト」という感じですね。
容積を目いっぱい使ってドカン、ドカンと住棟を配置。
空いたところには駐車場と駐輪場をドーン。
それでも空いたところに申し訳程度に樹木を配しています。
まあ、いつもの通り効率一辺倒。低コストまっしぐら。
共産主義国家のアパートみたいに無機質な計画ですね。
日本全体で住宅の「量」が足りなかった時代には、
こういう大量生産型のマンションでもよかったでしょう。
しかし、もうそんな時代ではなくなっています。
それでも、便利な場所で低価格で販売するなら売れるかもしれません。
ところが、これができるのはJR武蔵野線の新駅「吉川美南」だとか。
ハッキリ言って何にもないところです。
ただ、このマンションの立地は駅前エリアだそうです。それだけ。
まだ市場には出ていません。もうすぐ出てくるのではないでしょうか。
この沿線には「越谷レイクタウン」という新駅も2008年に開業しています。
そこで大和ハウス工業が「D’グラフォート レイクタウン」という
やや無謀かと思えた500戸規模のマンションを販売。
最後はかなりの値引きをして何とか完売させた経緯があります。
こういうマンションを最初に買った人はお気の毒です。
建物が竣工する頃には怒涛の値引き販売に突入していました。
その数年後にはさらに値下がりしています。
この物件の当初売出時は坪単価が約175万円。竣工時は実勢で150万円。
そして現在、中古市場の流通目安が120万円前後かと思います。
契約時より3割がた下がったことになりますね。
これからもどんどん下がるはずです。
そのうち、もしイオンが撤退したらとんでもないことになるでしょう。
もう「値がつかない」くらいになります。
まあ、そんなことはこの際いいでしょう。
あの物件を喜んで買った方の自己責任です。
それに、とりあえずイオンは当面撤退しないでしょうから。
5年先、10年先はわかりませんが。
ところが・・・今度、同じ沿線の吉川美南にできるこのトンデモな
マンションの事業主の1社は、レイクタウンのグラフォートと同じ。
ちっとも懲りていませんね(笑)。
まあ、マンションデベに人並みの反省や節操を求めるのは、
サルに論語を読めというようなものです。
またぞろ、自己責任に泣く方々を量産しようとしているのですね。
まあ、それも仕方がないといえば仕方がないのですが・・・
「この計画には正直言ってコンセプトがありません。それを提案してください」
数カ月前、このトンデモ計画のプロモーションを担当する
広告代理店を選定するコンペが開催されたそうです。
計画内容を説明するオリエンテーションの場で
事業主の担当者はそう言ったそうです。
ビックリしますね。
自分たちが何十億円もかけて行う事業なのに、
「コンセプトがない」と堂々とおっしゃるばかりか、
それを広告代理店に提案させようと言うのです。
まず、事業主はコンセプトもない数百戸のマンションを作って、
これから売ろうとしているわけです。
「長谷工が儲かりそうなプロジェクトを持ってきたから、当社はそれにのっかってカネを出しただけ。目的は利益を出すこと。街づくりなんかどーでもいいから、広告屋さん、テキトーに見栄えがいいのをデッチあげて」
ということですよね。
そして、それを考えさせる先が広告代理店ですぜ。
当然、街づくりや住まい作りのプロではありません。
それは都市プランナーや建築家の仕事。
たとえ彼らが出てきても、長谷工がただ
「低コストで出来るだけ多くの住戸を作る」ことだけを優先した
この図面を見ても、口をあんぐりとさせるだけでしょう。
あとは、広告屋がタレントを呼んできて、適当にイメージで
ゴマカスしかなさそうですね。
しかし・・・広告屋が考えることなど、ただの上っ面すくいだけ。
結局のところ、出てきたコンセプトは「子育て」ですって。
バカバカしすぎて笑う気にもなりません。
あえて言うなら、この街のコンセプトは「容積消化&低コスト」でしょう。
もっというなら「儲けたいだけ」。悲しいですね。
これでまた、約400家族の未来が危うくなるかもしれません。
さて、こういう「呆れ果てた」大型プロジェクトが
鈴なりになっているのが今の埼玉県のマンション市場。
10年後に「自己責任」を痛感させてくれるような物件が
ワンサカとありますので、かなりの要注意。
もし今、埼玉で大きなマンションを買おう、なんて考えている方は
ぜひ私のレポートをご一読ください。
無謀なパークホームズLaLa新三郷、
波乱の浦和常盤プロジェクト
埼玉県の大規模マンション 全22物件
価格 3,490円
取り上げているのは、以下の22物件
1 「シティテラス戸田公園」
2 「小手指タワーズ」
3 「志木の杜レジデンス」
4 「パークホームズLaLa新三郷」
5 「ソライエ草加松原」
6 「グランドミッドタワーズ大宮」
7 「パークシティ南浦和」
8 「プラウドシティ浦和」
9 「グローリオ越谷ステーションタワー」
10 「パークスクエアさいたま新都心 Airs Court」
11 「グランシンフォニア」
12 「シティタワーさいたま新都心」
13 「シティテラス大宮宮原」
14 「シティタワー蕨」
15 「(仮)太陽光“カガヤキ”PROJECT」
(レーベン東鷲宮Ⅲ)
16 「サウスゲートタワー川口」
17 「シティタワー上尾駅前」
18 「北戸田ファーストゲートタワー」
19 「グランアルト越谷レイクタウン」
20 「(仮称)浦和常盤プロジェクト」
21 「オハナ 北戸田ガーデニア」
22 「ザ・パークハウス 所沢」
さすが埼玉ですね。
2013/02/13 21:02 | by 匿名RSS feed for comments on this post.